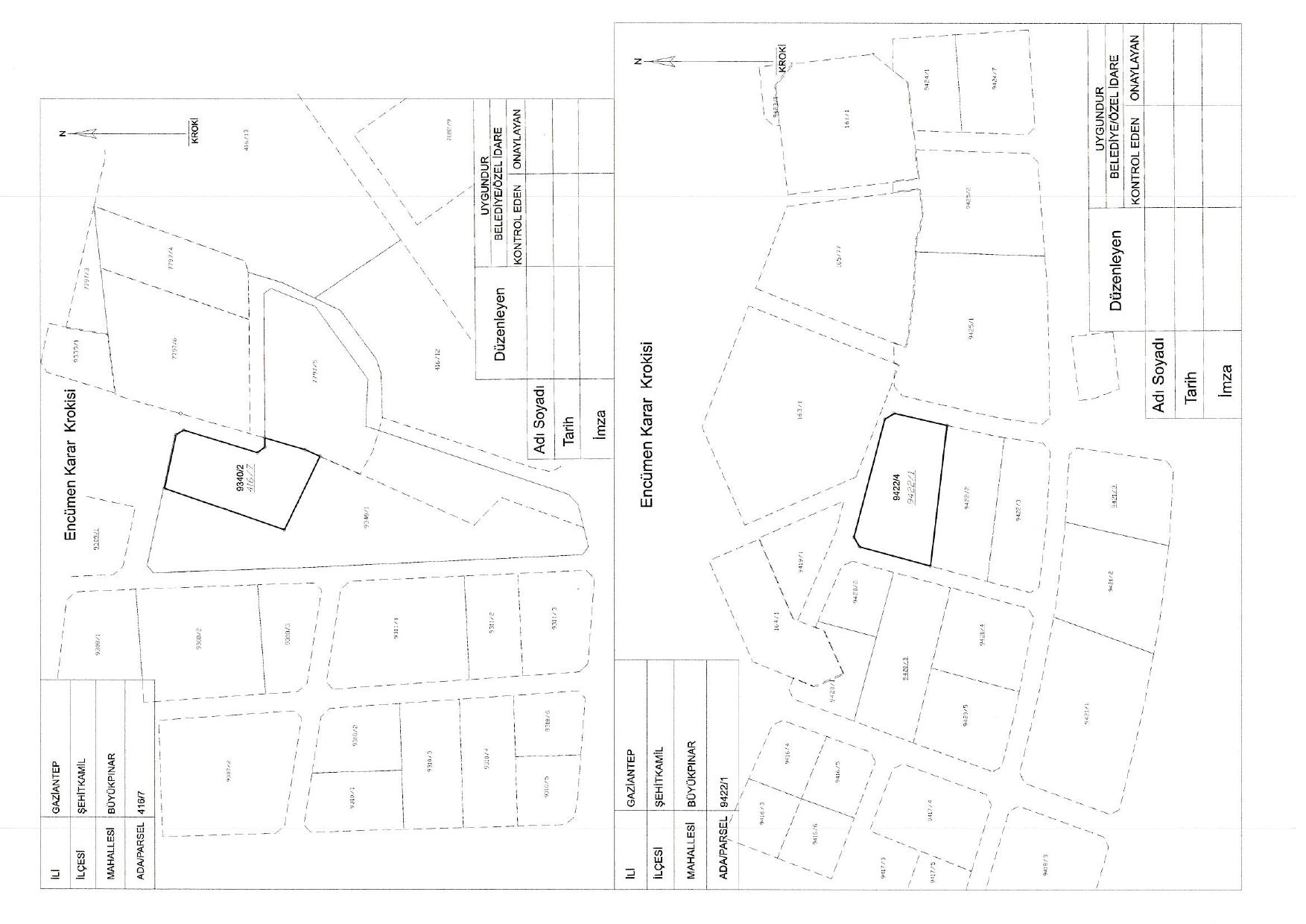
Büyükpınar Mahallesi İmar Uygulaması

Plan Proje Duyurulari
- Ağaçlı Mahallesi ve Yeşilce Mahallesi İmar Uygulaması
- Büyükpınar Mahallesi İmar Uygulaması
- Ağaçlı Mahallesi İmar Uygulaması
- İbrahimli Mahallesi İmar Planı Uygulaması
- Üçgöze Mahallesi Uygulama İmar Planı Değişikliği
- Burak Mahallesi Uygulama İmar Planı Değişikliği
- İlçemiz Muhtelif Mahallelerinde Trafo Alanı Uygulama İmar Planı Değişikliği